Anthicidae
Ant-like flower beetles
Dmitry Telnov


This tree diagram shows the relationships between several groups of organisms.
The root of the current tree connects the organisms featured in this tree to their containing group and the rest of the Tree of Life. The basal branching point in the tree represents the ancestor of the other groups in the tree. This ancestor diversified over time into several descendent subgroups, which are represented as internal nodes and terminal taxa to the right.

You can click on the root to travel down the Tree of Life all the way to the root of all Life, and you can click on the names of descendent subgroups to travel up the Tree of Life all the way to individual species.
For more information on ToL tree formatting, please see Interpreting the Tree or Classification. To learn more about phylogenetic trees, please visit our Phylogenetic Biology pages.
close boxIntroduction
Anthicidae, or ant-like flower beetles, is a cosmopolitan family of fast running small to midsized insects. The family contains 8 subfamilies, 102 recent genera and about 3500 recent species. Only few fossil records are known, among them 3 extinct genera. Anthicids are distributed on all continents (the Antarctic is an exception) and are most diverse in tropical and subtropical regions. No modern publications summarizing Anthicidae taxonomy are available. The family Anthicidae has previously often been treated as a ‘dustbin’: if previous authors could not easily place a newly discovered tenebrionoid taxon, it would be placed in this family. As a result, there were (and still are) some generic and higher taxonomical level groups within Anthicidae surely not belonging to the group. The most recent list of anthicid genera was presented by Chandler (2010).
Afreminae, Lagrioidinae and Ischaliidae placed in Anthicidae by several earlier authors, are analysed as separate taxonomical units and not included into the current Anthicidae review.
The role of Anthcidae in different ecosystems is not completely studied. They inhabit very different habitats from rainforest to high mountains up to the snow line and often are represented by a very high number of individuals. In some semiarid regions of tropical Africa or tropical rainforest ecosystems of Asia, the ant-like flower beetles are the second most significant group of animals after ants based on their biomass. Imago and larvae of anthicids are found in various habitats, e.g., on and in soil, in leaf litter, rotten wood, on green or withered vegetation, tree canopy, waterbanks and littoral zone, grasslands, sandy to stone deserts etc.; some groups are visitors of flowering plants.
Anthicids are still a very poorly studied group. During last 15 years, more than 300 new species and several new genera were discovered and described worldwide.
Characteristics
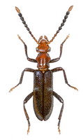
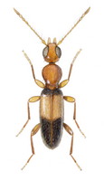
The Anthicidae are small to midsized beetles, often very fast moving and strongly resembling ants in their behavior. The family is recognized by the abruptly constricted head forming a neck, a pronotum which is widest in anterior part and more or less distinctly narrowing toward the base, the pronotal base allways narrower than the base of the elytra, and the two first visible ventrites freely articulated.
Morphology: adults
Body length from 1.25 to 18 mm. Head prognathous, deflexed, abrupt to more or less distinctly narrowed posterior to eyes and forming neck 1/2 to much less of maximum head width. Antennae with 11 antennomeres, rarely 10 or 12. Antennae mostly subclavate, filiform or serrate. Antennael bases are freely exposed, inserted anterolaterally of the frons. Frontoclypeal suture present or absent; if absent, then often replaced by fine transverse impression. Labrum in most cases transverse. Mandibles small to large (Eurygeniinae, Macratriinae), distinctly curved, truncate or emarginate apically. Maxillary palpi four-segmented, terminal palpomere elongate or securiform. Labial palpi three-segmented, small, filiform. Gular sutures present or absent, gular region of labium long and narrow. Mentum ridged, distinctly modified. Eyes transversely oval to round, emarginate in some groups (especially in Eurygeniinae), often with short setae raising between facets.
Pronotum elongate, suboval or trapezoidal, globose dorsally in some groups (Notoxinae, some Tomoderinae). Maximum width in anterior part except some Macratriinae and Eurygeniinae, as also Anthicini. Lateral margins not bordered or carinate. Pronotal apex simple, with distinct collar or dorsally flanged. In Notoxinae, the pronotum bears a prominent anterodorsal horn over the head. Pronotal base with or without prebasal dorsal sulcus. Prosternum narrowed in front of contiguous procoxae. Scutellum small, mostly triangular or trapezoidal. Procoxae prominent and conical, procoxal cavities open posteriorly (with exception of Ictistygnini) and closed internally by internal apodeme extending from lateral foveae above procoxae (foveae are absent in Steropinae). Mesosternum broadly triangular, rounded or angulate apically. Mespisterna meeting or almost meeting at the middle of apex. Mesocoxal cavities narrowly separated by mesosternal extension in most groups. Mesocoxae oval. Metacoxae transverse with short internal flange, metacoxal cavities separate. Legs with tibial spurs present in all groups except Tomoderinae. Tarsal formula 5-5-4. Penultimate tarsomeres more or less distinctly bilobate. Tarsal claws simple or appendiculate.
Elytra entire in most group (shortened in Leptanthicus, Micranthicus and Tanarthrus of Anthicini). Epipleural narrow (Anthicinae, Notoxinae, Tomoderinae) to relatively broad (Macratriinae). Elytral sculpture with or without distinct dorsal punctures, organized or not organized in longitudinal rows. Elytral pubescence various, with lack or presence of obvious organization, direction of pubescence also varies. Wings present or atrophied; when present, postcubital patch is well developed.
Abdomen with five visible sternites. Sternites are free, not fused. Sternite IX internal, I or Y shaped with long basal stalk and shorter arms. Male genitalia with parameres and penis separate in Eurygeniinae, Macratriinae, and Notoxinae. Phallobase separate in all groups except Copobaeninae, Lemodinae, and Tomoderinae. Internal sac often with patches of spines. Female genitalia with coxites very close together in the medio-ventral part and partially divided on the ventral side. Styli small, borne on unsegmented or two-segmented coxites.
Morphology: preimaginal stages
Larvae with yellowish or white elongate and subcylindrical body, not or slightly flattened dorso-ventrally. Abdomen slightly to distinctly (in Lemodinae) widened toward apex. Setation simple. Sclerotization weak with exception of mouth-parts and urogomphi.
Head prognathous, visible from above. Frontoclypeal suture lacking. Stemmata single on each side (Anthicinae, Notoxinae, Tomoderinae), double (Lemodinae) or absent (Eurygeniinae). Epicranial arms lyriform. Epicranial stem short or absent. Antennae with three antennomeres, second antennomere often truncate apically. Mandibles asymmetrical, bidentate or bilobate apically (tridentate in Eurygeniinae). Labium with distinct ligua which is rounded apically.
Prothorax longer than almost subequally long meso- and metathorax. Prothorax slightly narrower than abdomen. Legs five-segmented. Mesothorax bears annular spiracles.
Abdomen more than twice longer than thorax, 9-segmented. Segments I-VIII of equal length, with annular spiracles. Urogomphi fixed, unsegmented (Anthicinae, Eurygeniinae, Notoxinae), very small (Lemodinae) or absent (Tomoderinae). Sternite IX usually simple or with a pair of apicomesal asperities as in Eurygeniinae.
Pupae (only known for Anthicinae) exarate, dorsally sparsely setose. Maximum body width at abdominal segment IV. Head hidden beneath prothorax. Antennae thick. Antennomeres 2-11 with small tubercles at apex. Mandibles and maxillary palps visible in ventral view.
Taxonomy
The only World-level revision was published in 1849. Since that there have been several reviews of certain genera or species-groups, but no global monographs nor phylogenetic analysis covering all subfamilies of the Anthicidae.
Anthicinae
Body often ant-like. Elytra lacking longitudinal sulcus along lateral margins. Mesosternum and mesepisterna separated by prominent carinae marking their lines of fusion. Frontoclypeal suture present (rarely atrophied).
Copobaeninae
Neck is broad, about 1/2 of maximum head width. Metacoxae narrowly separated by intercoxal projection. Dorsal colouration usually metallic blue and shiny on elytra, rufous on pronotum.
Eurygeniinae
Neck mostly exposed, rugulose striate to roughly punctured, width is 1/3 or more of maximum head width. Eyes with anterior margins flattened to distinctly emarginate. Metacoxae contiguous to narrowly separated. Intercoxal process of first visible ventrite with margins diverging at ~45 degrees or less.
Lemodinae
Anterior rim of pronotum weakly developed. Antebasal pronoptal sulcus only complete in Zealanthicus Werner et Chandler. Metacoxae moderately separated by triangular intercoxal projection.
Macratriinae
Body elongate. Elytra with distinct longitudinal sulcus along the lateral margins and parallel to epipleura. Mesosternum and mesepisterna fused, lacking evidence of any carina at fusion line. Frontoclypeal suture absent.
Notoxinae
Pronotum with distinct anterodorsal horn over the head.
Steropinae
Neck broad, about 1/2 to 1/3 of maximum head width. Pronotum flattened dorsally, rounded to slightly elongate, anterior rim narrow. Anterior angles not produced. Aedeagus with phallobase and parameres separate.
Tomoderinae
Pronotum without prominent apical collar or rim. Pronotum with distinct lateral postmedian constriction which is distinct on dorsum of pronotum. Metacoxae widely separated. Intercoxal process of first visible ventrite broadly subtruncate.
Classification
The generic lists given for each subfamily are based on Chandler (2010) and Lawrence & Newton (1995), with modifications made by the author of the current page according to the newest nomenclatural data on the family. The list contains both recent and fossil taxa.
Discussion of Phylogenetic Relationships
No formal phylogenetic study of Anthicidae has been done. Chandler (2010) presented a preliminary hypothesis for the monophyly of each of the Anthicidae subfamilies.
References
Chandler D.S. 2010. 11.26. Anthicidae Latreille, 1819: 729-741. In: Leschen R.A.B., Beutel R.G., Lawrence J.F. (eds) Coleoptera, Beetles. Volume 2: Morphology and Systematics (Elateroidea, Bostrichiformia, Cucujiformia partim). Arthropoda Insecta. Handbook of Zoology. De Gruyter, Berlin & New York.
Lawrence J.F., A.F. Newton, Jr. 1995. Families and Subfamilies of Coleoptera (with Selected Genera, Notes, References and Data on Family-Group Names): 779–1092 In: J. Pakaluk J., Ślipiński S.A. (eds) Biology, Phylogeny, and Classification of Coleoptera: Papers Celebrating the 80th Birthday of Roy A. Crowson. Muzeum i Instytut Zoologii PAN, Warszawa.
Title Illustrations

About This Page
Dmitry Telnov
The Entomological Society of Latvia
Correspondence regarding this page should be directed to Dmitry Telnov at
Page copyright © 2011 Dmitry Telnov
All Rights Reserved.
- First online 06 January 2011
- Content changed 06 January 2011
Citing this page:
Telnov, Dmitry. 2011. Anthicidae http://tolweb.org/Anthicidae/10323/2011.01.06 in The Tree of Life Web Project, http://tolweb.org/
. Ant-like flower beetles. Version 06 January 2011 (under construction).